Bonjour, Peut-être que l'un entre vous saura m'aider. J'ai un maine coon femelle qui aura 8 ans au mois d'août. Elle a toujours été très peureuse et stressée et a souvent eu des pertes de poils au niveau de ses pattes arrières. C'est encore le cas en ce moment mais le vétérinaire n'a rien trouvé de particulier si ce n'est que c'est une mauvaise mue. Ici j'ai découvert il y a quelques jours qu'elle perdait ses poils au niveau du bas du dos, haut de la queue. Je pense Je c'est parce que elle se lèche et se gratte avec excès. Il y a même des petites croûtes. Je ne sais pas si ça pourrait être du un parasite ou si c'est juste elle qui se blesse a force de se lécher. Elle ne **** pas à l'extérieur. Je lui mets des fleurs de Bach pour l'apaiser dans son eau. J'ai commandé des croquettes Royal Canin de la gale Calm et également pour la peau et le poil et du feliway. Auriez-vous d'autres idées afin de calmer cela? Merci beaucoup
Problème de peau/poils
Le contenu du forum est parfois traduit depuis une autre langue, et les posts concernent parfois des pays où les lois sur les animaux sont peut-être différentes. Renseignez-vous avant une prise de décision
Le forum étant traduit automatiquement par IA, les traductions peuvent contenir des erreurs.
Oh merci beaucoup je suis rassuré de savoir que ce n’est pas la teigne j’avais surtout peur de ça, après le mien sur les photo à bientôt deux ans et c’est la première fois qu’il me fait ça donc j’avais très peur surtout que de base je voulais que sa reste un chat d’appartement mais j’ai fini par le laisser sortir pour qu’il vive pleinement, je vais surveiller qu’il ne se lèche pas trop jusqu’à ce blessé j’ai une collerette à la maison je peux déjà le lui mettre.
Voici une photo de sa patte arrière avant le traitement du problème:

Bonjour,
Ma petite Sacha de 10 mois a eu ce problème le mois dernier. Elle se nettoyait et insistait bien au niveau de ses pattes arrières. J'ai été aux urgences, à la clinique et finalement chez ma vétérinaire. Elle m'a expliqué que c'est "courant" pour un jeune chat d'avoir ce problème, c'est lié à une sorte d'allergie car elle a suivi un traitement contre les puces et n'a pas non plus la teigne. Ça peut donc partir du jour au lendemain..
Ce que j'ai fait: mettre une collerette pour éviter qu'elle nettoie sa patte arrière de manière permanente et mettre une crème spéciale que ma vétérinaire a prescrit. Au bout de 3 jours, j'ai retiré la collerette car il n'y avait plus aucune rougeur et ses poils repoussent bien..
Il faut donc qu'elle arrête de se lécher à outrance à ce niveau là et traiter la zone.
Voici les photos de mon chat



Bonjour j’ai la meme avec mon chat mais quand je regarde sur internet ça n’a pas l’air d’être la teigne quand je regarde plusieurs photos voici les photos de mon chat et je le traite toute les deux semaine avec frontline combo anti puce
Je stress et vu que je vis seule et que j’ai un peu difficile d’aller au veto en ce moment je chercher un Peu des réponses, c’est vrai que y a deux jours j’ai retrouver une puce sur mon autre petit chat mais elle sont poile va bien si c’était la teigne je pense que elle serais déjà contaminé non? Ou même moi d’ailleurs
Merci beaucoup pour votre réponse
Comment peut-on savoir si il s'agit de puce etc? Est-que celles-ci sont visibles à l'œil nu? Et est-ce qu'elle peut en avoir même si elle ne **** pas?
Merci
Bonjour,
Il y a trois principales causes à ce phénomène :
- soit votre animal est en mue saisonnière intense ;
- soit votre chat fait du toilettage excessif parce que quelque chose le démange (par exemple des puces auxquelles il peut devenir allergique) ou lui fait mal ;
- soit il a une réaction de léchage compulsif suite à un trouble comportemental ou neurologique.
La seconde cause peut être due à des parasites, puces, bactéries, champignons, allergies qui le démangent énormément. entrainant des allergies locales (au niveau des piqures de puces par exemple).
Sinon, il est probable donc dans ce cas qu'il s'agit d'un problème comportemental ou neurologique.
Si le chat ressent un stress, il peut le manifester en augmentant son temps de toilettage, ce qui provoque l’apparition de zones sans poils (on parle d'hyper-toilettage). Il y a alors une alopécie de léchage : cela peut toucher différentes zones mais c’est souvent le ventre qui se dégarnit vite. Ainsi, le chat qui s’arrache les poils à cause d’un motif comportemental sera souvent une manière pour lui d’exprimer son stress.
Il y a donc, comme vous le voyez, énormément de raisons possibles à ce léchage compulsif. Il existe des vétérinaires comportementalistes qui sauront trouver des réponses à vos questions et aider votre chat pour limiter ses léchages qui l'embêtent aussi lui-même. Parlez en à nouveau avec votre vétérinaire traitant afin qu'il investigue le cas en premier lieu.
J'espère avoir pu vous aider,
Paul

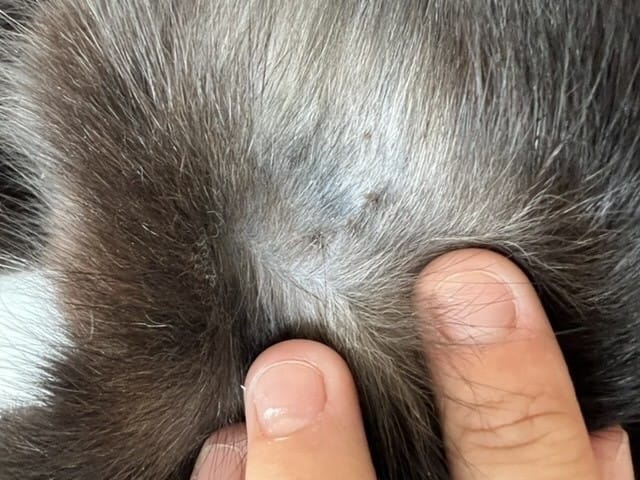
Je ne sais pas si la photo est visible mais la voilà
8 commentaires sur 8
- Mon chat a eu des calculs urinaires à 3 ans, ce que j'ai appris
- Patte abîmée, la phalange est-elle cassée ?