Bonsoir,
Je viens vers vous pour savoir si qqn a déjà rencontré le même problème que moi.
Mon chien Chucky a de base, une peau atopique et il est allergique aux piqures de puces (la salive). Il a donc la peau fragile avant tout.
Seulement il y'a quelques semaines maintenant, il a commencé à se gratter frénetiquement, se mordiller parfois et jusqu'a se blesser avec ses griffes (qu'il mordille et lèche souvent d'ailleurs)
Bien qu'il soit protégé règulièrement et précautionneusement chaque mois contre les puces, j'ai tout de suite pensé à une invasion de ces sales petites bêtes mais rien, absolument rien.
Je précise que le vétérinaire lui même n'en a trouvé aucune.
Le véto lui a fait une injection de cortisone et j'ai continué un traitement par cachet puis un shampooing spécial pendant plusieurs jours. Les grattages ont cessé rapidement.
Il m'a parlé d'une possible allergie alimentaire donc il m'a dit de changer sa nourriture (habituellement du boeuf ou poulet) pour du saumon, canard ou agneau et voir si je remarquais une amélioration.
Je pense personnellement que ça ne vient pas de l'alimentation. Mon chien a déjà mangé de la marque comme du premier prix, plusieurs gouts et il n'avait jamais aucun soucis de grattage comme ajd...
Il m'a aussi dit que ça pouvait être nerveux, une sorte de TOC.
Il a dit aussi que ça pouvait être le pollen, les acariens (ce que je pense en effet) et donc qu'on pourrait envisager une désensibilisation.
Un procedé qui ne donnerait des ameliorations (s'il y'en a...) que dans plusieurs mois voir 1an.
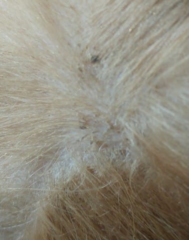
Aujourd'hui comme je le papouillais j'ai découvert beaucoup de "croutes" , de squames blancs ou noirs qui se détachent facilement pour certains et d'autres non. Mon chien est propre il a eu son bain ce n'est donc pas de la simple saleté.
J'ai pris plusieurs photos du coup. Il en a un peu partout (cou , crâne , dos..) et je ne sais vraiment pas ce que c'est tous ces trucs sur sa peau 😔
Est-ce que qqn sait ce que c'est ? Avez-vous déjà rencontré ce problème et si oui, qu'avez-vous fait ?
Je vous remercie de vos messages



