Bonjour tout le monde !
Voilà mon problème :
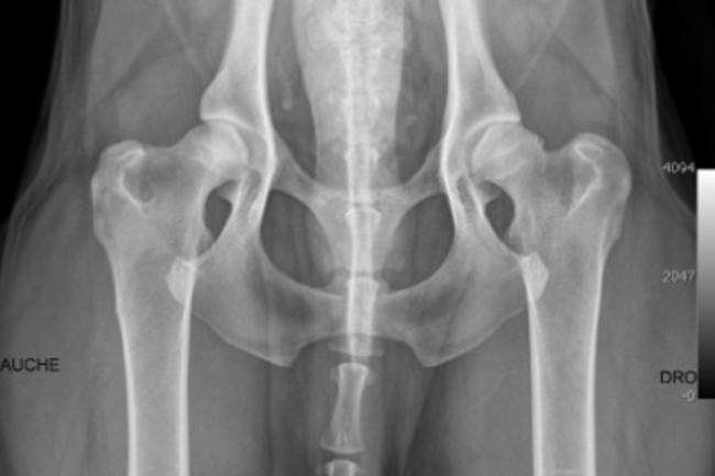
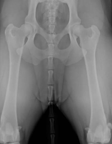
Je dois adopter une petite chienne cocker dans 2 mois. J’ai fait les démarches de réservation en envoyant un chèque qui s’avère être des Arrhes. Aujourd’hui une information supplémentaire s’est ajoutée sur le site de l’élevage concernant la mère des chiots, elle a une dysplasie de type C donc légère. Le père lui est de type B donc presque normal. C’est une maladie qui est héréditaire, par conséquent les chiots ont 50% de chance de présenter cette maladie.
Ayant eu un coup de cœur pour cette petite chienne, je ne sais pas ce que je dois faire. Le veto m’a conseillé de ne pas l’adopter car les risques sont grands ou bien de demander un rabais de prix (prix de base : 1000€).
En effet, cela me fait peur d’adopter un chiot ayant 50% de chance d’avoir cette maladie, sans parler des frais qui pourrait en découler au cas où le chiot présenterait la maladie. Déjà qu’un chiot est une grosse responsabilité et ainsi qu’un investissement.
Mais je suis perdue, puisque j’ai vraiment craqué sur elle.
Que dois-je faire ? Où je pourrais me renseigner d’avantage sur la question ?
Si vous vous y connaissez dans cette maladie ou que vous avez un avis sur la décision que je dois prendre, vos conseils seront les bienvenus.
Merci d’avance




