?
Utilisateur anonyme
Bonjour,
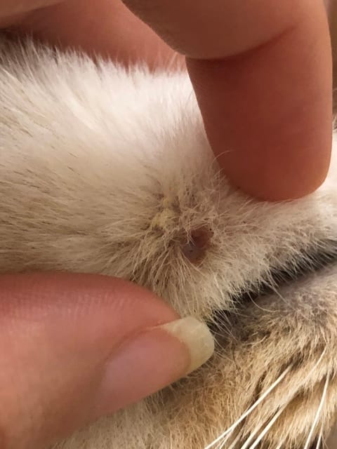
Aujourd’hui j’ai découvert un petit trou en dessous de la mâchoire de mon chat, il y avait une petite croûte de sang je l’ai enlever et je lui appliquer de la betadine. J’ai pu voir qu’il y avait comme une sorte de petit bouton .Cependant mon chat ne sort pas donc il n’a pas pu se faire griffer, cela m’inquiete .Ça n’a pas l’air de lui faire mal car il mange très bien il miaule joue sans arrêt je me demande qu’est ce que cela peut-être ?
Pourriez vous me dire ce que cela peut être ? 🤧
Merci

